{"obj_regio1":"003","obj_regio2":"003025","obj_regio3":"003025030","obj_ityp":"14","obj_zipCode":"3910","obj_title":"Tauchen Sie ein im Waldviertel: ZWETTL - Grundstück mit Grünblick ab 804 m² - AUFGESCHLOSSEN","obj_picture":"https://pictures.immobilienscout24.de/prod.www.immobilienscout24.at/pictureserver/loadPicture?q=70&id=012.0015I00000j2COu-1687460735-b0db909d1f424d43a7beadc78c214cad","obj_exclusiveExpose":"true","obj_cwId":"ADS0018802908","obj_purchasePrice":200000,"obj_purchasePriceRange":"4","obj_baseRentRange":null}

    Tauchen Sie ein im Waldviertel: ZWETTL - Grundstück mit Grünblick ab 804 m² - AUFGESCHLOSSEN

    200.000
     
    804 m²
    Fröschl Real Estate OGHerr Christian Fröschl
    3910 Zwettl-Niederösterreich
    Ruhige und grüne Umgebung
    Diese Grundstück befindet sich in Zwettl im Waldviertel. Es liegt in einer ruhigen und exquisiten Umgebung am Stadtrand mit Blick Richtung Süden. In der Nähe befinden sich Arzt, Apotheke, Kindergarten, Supermarkt. Weitere Geschäfte des täglichen Bedarfs und infrastrukturelle Einrichtungen befinden sich nur 15 Gehminuten entfernt im Stadtzentrum. Die Verkehrsanbindung ist sehr gut. Es gibt eine Citybuslinie und einen Anschluss an die neue Umfahrungsstraße in ca. 1,5 km Entfernung.

    Einmalige Kosten

    Kaufpreis200.000 €
    Kaufpreis pro m²248,76 €
    Provision: 3% des Kaufpreises zzgl. 20% USt.

    Hallo neues Zuhause!

    Kenne deine Chance mit Plus

    Online seit120Gesehen80Kontaktiert40Gemerkt63
    Plus locked

    Merkmale

    Grundstück
    Grundstücksfläche 804 m²

    Beschreibung

    Ein unglaubliches Angebot wartet auf Sie!
    Dieses Grundstück ist eine einmalige Gelegenheit. Mit einem Kauf dieses Bauplatzes haben Sie die Möglichkeit, Ihr neues Zuhause zu kreieren. Ein herrlicher Ausblick ins Grüne, der Ihnen die Möglichkeit gibt, sich zu entspannen und die Natur zu genießen.

    Nutzen Sie diese einmalige Gelegenheit, um Ihr Traumhaus zu erschaffen. Mit einen diese Grundstück in Zwettl können Sie Ihre Träume verwirklichen und Ihr neues Zuhause planen. Kontaktieren Sie uns noch heute und wir helfen Ihnen gerne bei der Realisierung Ihrer Wünsche.
    Seien Sie schnell und sichern Sie sich einen Bauplatz. Profitieren Sie von der guten Verkehrsanbindung, der ausgezeichneten Infrastruktur der lebenswerten Kleinstadt im Herzen des Waldviertels und genießen sie die Nähe zu Wanderwegen in intakter Natur. Wir freuen uns auf Ihren Besuch!
    Bauplatz 5 ist bereits verkauft und die Errichtung eines Einfamilienhauses ist im vollem Gange!

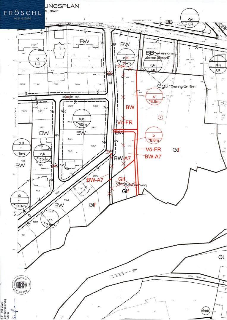
    Bauplatz 3 - 804 m² und Bauplatz 2 - 804 m² (Grundstücksflächen lt. Grundbuch) - Kaufpreis je Grundstück € 200.000,--

    • Flächenwidmung lt. Bebauungsplan: Bauland Wohnen (BW)
    • Bebauungsplan: Gebäudehöhe 8; 6m, Bauweise o (offen) 
    • Bebauungsbestimmungen: lt. Anhang vom 24.12.2019
    • Nutzung: Die Grundstücke eignen sich für ein individuelle Einfamilienhauser, zwei Doppelhaushälften oder Reihenhäuser
    • Die Grundstücksflächen sind im Grenzkataster eingetragen und daher gesichert 

    Für weitere Fragen und zur Vereinbarung eines Besichtigungstermins stehe ich Ihnen jederzeit zur Verfügung unter Anbieter kontaktieren oder senden Sie mir eine E-Mail: Anbieter kontaktieren

    Besuchen Sie www.froeschl.estate und finden Sie weitere Rundgänge und die neusten Objekte!

    Nebenkosten beim Erwerb dieser Immobilie:

    3,50 % Grunderwerbsteuer
    1,10 % Grundbucheintragungsgebühr
    Vertragserrichtungskosten/Treuhändische Abwicklung (Notar oder Rechtsanwalt) Kosten Unterschriftenbeglaubigung und Barauslagen Kaufvertrag
    3,00 % zzgl. 20,00 % USt. (ges. 3,60 %) Honorar für die erfolgreiche Vermittlung

    Unsere Angaben beziehen sich auf die Auskünfte des Eigentümers.

    Wir weisen darauf hin, dass zwischen dem Vermittler und dem zu vermittelnden Dritten ein familiäres oder wirtschaftliches Naheverhältnis besteht.

    Der Vermittler ist als Doppelmakler tätig.


    Infrastruktur / Entfernungen

    Gesundheit
    Arzt <500m
    Krankenhaus <1.500m
    Apotheke <500m
    Klinik <1.000m

    Kinder & Schulen
    Schule <1.000m
    Kindergarten <500m
    Höhere Schule <1.500m

    Nahversorgung
    Supermarkt <500m
    Bäckerei <1.000m
    Einkaufszentrum <2.000m

    Sonstige
    Bank <1.000m
    Post <1.500m
    Geldautomat <1.500m
    Polizei <1.000m

    Verkehr
    Bus <500m
    Autobahnanschluss <1.000m

    Angaben Entfernung Luftlinie / Quelle: OpenStreetMap

    Kann ich mir diese Immobilie leisten?

    • % Nebenkosten
      0 €/ Monat
    • % Zinsen
      0 €/ Monat
    • % Kaufpreis
      0 €/ Monat
    *
    pro Monat
    * errechnete monatliche Kreditrate bei einem angenommenen Effektivzins von 1.6% p.a. Die Berechnung stellt einen unverbindlichen Richtwert dar und ist von der Bonität, Kredithöhe, Laufzeit, Verwendungszweck und Besicherung abhängig.

    Kontaktieren

    GewerblichFröschl Real Estate OGHerr Christian Fröschl
    Nachricht
    Anrede
    Vorname
    Nachname
    E-Mail
    Telefon
    Ich bin Eigentümer:in einer Immobilie
    GewerblichFröschl Real Estate OGHerr Christian Fröschl
     Verifiziert von ImmoScout24
    Bronze Partner